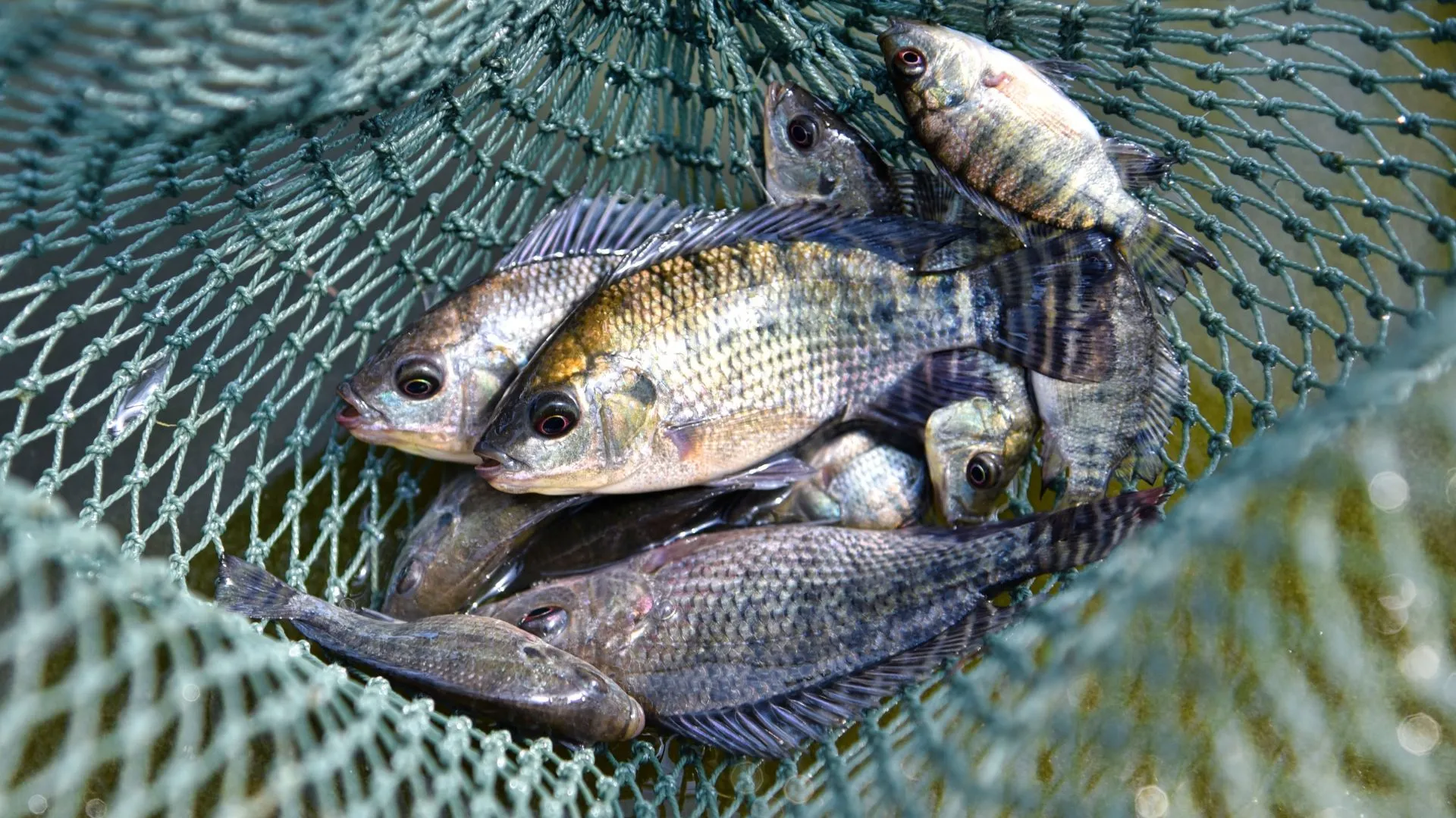
A piscicultura vem ampliando sua presença no Meio-Oeste de Santa Catarina e se consolidando como uma alternativa relevante de renda para produtores rurais. A criação de tilápia, em especial, lidera a produção regional e atrai novos investimentos. No entanto, apesar do potencial econômico, a atividade ainda apresenta uma série de desafios que exigem conhecimento técnico, planejamento e atenção constante por parte dos produtores.
PARTICIPE DO NOSSO GRUPO NO WHATSAPP E RECEBA NOTÍCIAS
De acordo com o piscicultor Diego Zamboni, a região possui condições favoráveis, mas enfrenta obstáculos recorrentes que impactam diretamente os resultados da produção.
“A nossa região tem um grande potencial para a piscicultura, mas enfrenta desafios bastante comuns, como a temperatura da água, qualidade da água, doenças, custo de produção, clima instável e até a falta de assistência técnica direcionada”, explica.
Temperatura e qualidade da água impactam diretamente a produção
Entre os fatores mais sensíveis está a temperatura da água, especialmente na criação de tilápia. Por se tratar de uma espécie que se desenvolve melhor em águas mais quentes, as baixas temperaturas do Sul do Brasil acabam prejudicando o crescimento dos peixes.
“Quando a temperatura da água fica abaixo de 20 graus, a tilápia reduz significativamente o crescimento”, destaca o produtor.
Além disso, a qualidade da água também exige monitoramento contínuo. Parâmetros como oxigenação, presença de matéria orgânica e proliferação de algas precisam ser controlados para evitar prejuízos.
“Água com pouca oxigenação ou muito carregada pode causar doenças e mortalidade, como infecções por fungos, bactérias e parasitas”, afirma.
Custos, clima e predadores aumentam os desafios
Outro ponto que preocupa os produtores é o custo de produção, que inclui gastos com ração, energia elétrica e mão de obra. Equipamentos essenciais, como aeradores e bombas, garantem a qualidade da água, mas também elevam significativamente os custos operacionais.
As condições climáticas também exercem forte influência sobre a piscicultura. Períodos de chuvas intensas podem causar o transbordamento de viveiros e a perda de peixes, enquanto a estiagem reduz os níveis de água disponíveis.

Além disso, variações bruscas de temperatura prejudicam o manejo e o desenvolvimento dos animais.
Soma-se a isso a presença de predadores, como biguás, lontras e garças, que frequentemente causam prejuízos nas propriedades.
Falta de assistência técnica limita crescimento do setor
Apesar do avanço da atividade, a carência de assistência técnica ainda representa um dos principais entraves para o desenvolvimento da piscicultura na região. Muitos produtores atuam sem orientação especializada, o que aumenta o risco de erros no manejo e perdas na produção.
Segundo Zamboni, o acompanhamento técnico é essencial para garantir bons resultados.

“O ideal é fazer o monitoramento da água, avaliando níveis de oxigênio, amônia e matéria orgânica, além de acompanhar o desenvolvimento dos peixes e a quantidade correta de ração”, orienta.
Mesmo diante dos desafios, a piscicultura segue como uma atividade promissora no Meio-Oeste catarinense. Com investimento em tecnologia, planejamento e suporte técnico, produtores podem alcançar bons níveis de produtividade e rentabilidade.
“É uma atividade com grande potencial de retorno, desde que seja feita com acompanhamento e manejo adequado”, conclui.





